This edition was published on 08/25/11 at 7:04 a.m. [ Go to the front page ]
Home About us Our Team Volunteer Ways to help News archives Opinion
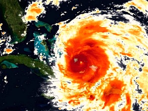
An image shows an infrared colorized view of Hurricane Irene as it advances towards the East Coast was made by the GOES satellite. Irene could hit N.C. Outer Banks with winds around 115 mph and is predicted to chug up the East Coast, dumping rain from Virginia to New York City.  (Photo by NOAA / AP)
Bookmark and Share
Bookmark and Share
Bookmark and Share
Bookmark and Share
Bookmark and Share
 
Bookmark and Share
BBC
Bookmark and Share
Bookmark and Share
Bookmark and Share
Bookmark and Share
Bookmark and Share
NPR
Bookmark and Share
 
NATION
Bookmark and Share
Bookmark and Share
Bookmark and Share
Bookmark and Share
POLITICS
Bookmark and Share
Bookmark and Share
Bookmark and Share
Bookmark and Share
BUSINESS
Bookmark and Share
Bookmark and Share
Bookmark and Share
Bookmark and Share
Bookmark and Share
HEALTH
Bookmark and Share
Bookmark and Share
CNN
Bookmark and Share
SPORTS
Bookmark and Share
Bookmark and Share
Bookmark and Share
RELIGION AND SPIRITUALITY
Bookmark and Share
Bookmark and Share
 
Columns And Op-Ed
The opinions in the items below are not necessarily those of DailySource or our editors. Read more.
Bookmark and Share
Bookmark and Share
XXXX wrong item type XXXX:
Bookmark and Share
Bookmark and Share
Bookmark and Share
Bookmark and Share
CNN
Bookmark and Share
Bookmark and Share
 
Site edited by: Jameson O'Neal, Ashley Nawn, Rachel Barrus, Sanaz Ariya and Catherine Lux.
 
GOOD NEWS
Bookmark and Share
Bookmark and Share
BBC
Bookmark and Share
WORLD
Bookmark and Share
Bookmark and Share
Bookmark and Share
SCIENCE AND TECHNOLOGY
Bookmark and Share
Bookmark and Share
Bookmark and Share
ENVIRONMENT
Bookmark and Share
Bookmark and Share
NPR
Bookmark and Share
EDUCATION
Bookmark and Share
Bookmark and Share
LIVING AND ENTERTAINMENT
Bookmark and Share
Bookmark and Share
Bookmark and Share
 
IN CASE YOU MISSED IT
Bookmark and Share

 
Photo of the Day
A setting sun is seen across the Croatan Sound near Manteo, N.C.  (Photo by Gerry Broome / AP)
Bookmark and Share
DailySource Most Popular
Connect with Us
Or enter Amazon via the box below and they will donate 4-7% of all purchases you make in the next 24 hours to us.
Take a Quick Tour
Tour
The Daily Quote
Email Newsletters
Browse Past Content
Makehomepage
Ways to Help

Website monitoring for The Daily Source provided for free by Nimsoft